大阪を中心とした貸倉庫,貸工場をお探しの方、お客様のご要望にあった物件をご紹介致します。
ベストオフィスでは、大阪の主要エリア別、最寄駅別、また地図より直接、
このように豊富な条件より、大阪貸倉庫,貸工場を検索することができます。
また大阪には様々な特色をもった貸倉庫,貸工場やビルなどの事業用不動産が多数あります。
大型ビルやデザイナーズといった特色から検索することも可能です。
大阪貸倉庫,貸工場をお探しの方は、お気軽にご相談ください。
ベストオフィスでは貸倉庫,貸工場の仲介だけでなく、移転や出店に関するあらゆる業務のソリューションをご提案させていただいております。
疑問点や気になることは、どんなことでもご相談ください。
大阪貸倉庫,貸工場の仲介、ご相談はベストオフィスよりどうぞ。

大阪の貸倉庫,貸工場 本物件の詳細をご紹介致します。
本物件について、ご不明な点や条件交渉など、お気軽にベストオフィスまでお問合せください。
その他にも、10000件以上の物件よりお客様のご希望にあう大阪の貸倉庫,貸工場をご紹介致します。
大阪の貸倉庫,貸工場の仲介、ご相談はベストオフィスよりどうぞ。
[ こちらの物件の募集は終了しております ]
広さ、価格、場所等 類似物件もございますので、
右の 類似おすすめ物件 をご覧ください。
メイン画像
|

平面図
|
| 建物概要 ・ 設備 |
| 物件コード |
S1-26955-41543 |
| 所在地 |
大阪府八尾市天王寺屋 |
| 最寄駅 |
JR関西本線志紀 徒歩 3 分 |
| 構造 |
鉄骨造 地上2階 |
| 竣工 |
1979年 02月 |
| 駐車場 |
無し |
| 設備 |
■ 24時間使用可能 / ■ 動力電源 / ■ クレーン / ■ 上水道 / ■ 下水道 |
| 備考 |
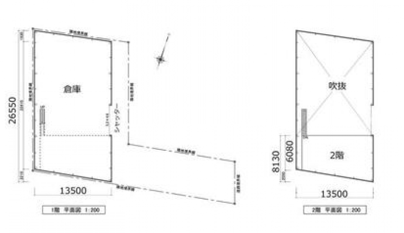
JR関西本線『志紀』駅 徒歩約3分の貸倉庫です。天井高 約9m、2.8tクレーン付、キュービクル有の物件。空き地部分の使用も相談できます。 |
| 賃貸条件 ・ メリット |
※ 表示価格等は募集条件です。 条件交渉は
お気軽にご相談下さい。
|
| 募集階 |
1棟貸 |
| 契約面積 |
126.84 坪 ( 419.3 m2 ) |
| 賃料 (@坪単価) |
相談
|
| 共益費 (@坪単価) |
相談
|
| 賃料合計 (@坪単価) |
相談
|
| 保証金 (@坪単価) |
相談
|
| 礼金 (@坪単価) |
相談
|
| 解約引 |
相談
|
| 入居時期 |
- |